AZİZİYE MAHALLESİ 18 UYGULAMASI
KONU : Aziziye – Mergiç Mahallesi 3194 Sayılı İmar Kanunun 18.Maddesine göre Re’sen Düzenleme yapılması
BELEDİYE BAŞKANLIĞINDAN DUYURULUR
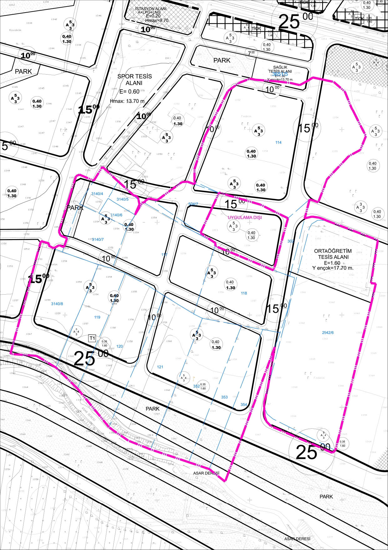
Düzce İli, Merkez İlçesi, Aziziye Mahallesi 114 – 117 – 118 – 119 – 120 – 121 – 302 - 352 – 353 – 354 – 504 ada 7 – 2942 ada 6 parseller ile Mergiç Mahallesi 3140 ada 4 – 5 – 6 – 7 - 8 nolu parsellerin, bulunduğu alanda 3194 sayılı İmar Kanununun 18. Maddesi ile 2981/3290 sayılı İmar Affı Kanununun Ek-1 maddesine dayanılarak 24/07/2025 tarih ve 1022 sayılı encümen kararı gereğince Re’sen düzenlemeye tabi tutulmuştur.
Parselasyon planı ve düzenleme isim listesi 3194 sayılı imar yasasının 19. maddesi gereği 30/07/2025 ile 01/09/2025 tarihleri arasında bir ay süre ile Cedidiye Mahallesi İmar ve Şehircilik Müdürlüğünde bulunan ilan panosunda ve www.duzce.bel.tr adresinde askı ilanı yapılacaktır.
22 Şubat 2020 tarih 31047 sayılı resmi gazetede yayınlanan Arazi ve Arsa Düzenlemeleri Hakkındaki Yönetmeliğin 26. Maddesinin 1. Fıkrasında belirtilen “Düzenleme alanının büyüklüğü, parsel maliki ve parsellerdeki hissedar sayısının çokluğu, bu kişilerin bulundukları yer itibarıyla birebir tebligat yapılamaması ya da adres kayıt sisteminde kayıtlı olduğu yerde bulunmaması gibi nedenlerle karşılaşılacak zorluklar dikkate alınarak parselasyon planlarının bir ay müddetle ilgili belediyede ya da valilikte askıya çıkarılması, internet sitesinde yayımlanması, belediye duyurusu, gazete ve benzeri mutat vasıtalarla da duyurulması ile düzenleme sahasındaki taşınmaz maliklerine tebliğ edilmiş sayılır.” denildiğinden düzenleme sahası içerisinde bulunan taşınmaz sahiplerine tebliğ edilmiş sayılacaktır.
Not: Askıya Çıkış Tarihi : 30/07/2025
Askıdan İniş Tarihi : 01/09/2025
Kesinleşme tarihi : 02/09/2025
Hasan GÜNDEN
Belediye Başkanı a.
Belediye Başkan Yardımcısı

